12-10-2023
Получение ГПЗУ
Наша компания ООО «Западно-Уральский завод Металлических Изделий» предоставляет своим клиентам на территории Сыктывкара и Республики Коми полный спектр услуг по получению ГПЗУ для любых строительных объектов. Также мы предоставляем услуги по разработке КМ.
- Выполнение информационной функции;
- Подтверждение разрешения на строительство;
- Возможность применения разными пользователями в течение долгого времени.
Смотрите также: получение разрешения на строительство.
- Многофункциональный центр;
- Архитектурный отдел местного органа самоуправления.
Подготовленный пакет документов сдается туда же. Чаще всего в него входят:
- План расположения будущего сооружения;
- Документы, подтверждающие право собственности на участок, и его кадастровый паспорт;
- Топографическая карта территории;
- Заявление и паспорт подающего его лица.
Все бумаги необходимо предоставить в двух экземплярах, один из которых возвращается обратно с отметкой, подтверждающей принятие корреспонденции. В течение 30 дней вы сможете получить план на руки. Иногда сроки могут быть увеличены, но, согласно законодательству, его подготовка не должна занимать больше указанного времени. При этом никакой платы не взимается. Единственные траты могут быть связаны с получением выписок из кадастровой палаты, но это совсем незначительные суммы. Срок действия такого документа – 3 года.
компании ООО «ЗУЗМИ-Сыктывкар», которые возьмут на себя решение вопроса о получении ГПЗУ в Сыктывкаре и Республике Коми.
Стоимость получения ГПЗУ в Сыктывкаре:
Специфика ГПЗУ
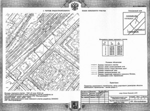
Градостроительный план земельного участка (ГПЗУ) входит в число документов, получение которых необходимо при строительстве любого объекта. Он может быть составляющей частью проекта или оформляться отдельно. В ГПЗУ указываются основные характеристики, необходимые для начала строительства: функция сооружения, число этажей, величина занимаемого участка, наличие поблизости зон публичных сервитутов, памятников. Задачи этого акта достаточно многообразны. Главные из них:- Выполнение информационной функции;
- Подтверждение разрешения на строительство;
- Возможность применения разными пользователями в течение долгого времени.
Смотрите также: получение разрешения на строительство.
Что необходимо для получения градостроительного плана?
Для того чтобы узнать, какие бумаги необходимо предоставить, можно обратиться в:- Многофункциональный центр;
- Архитектурный отдел местного органа самоуправления.
Подготовленный пакет документов сдается туда же. Чаще всего в него входят:
- План расположения будущего сооружения;
- Документы, подтверждающие право собственности на участок, и его кадастровый паспорт;
- Топографическая карта территории;
- Заявление и паспорт подающего его лица.
Все бумаги необходимо предоставить в двух экземплярах, один из которых возвращается обратно с отметкой, подтверждающей принятие корреспонденции. В течение 30 дней вы сможете получить план на руки. Иногда сроки могут быть увеличены, но, согласно законодательству, его подготовка не должна занимать больше указанного времени. При этом никакой платы не взимается. Единственные траты могут быть связаны с получением выписок из кадастровой палаты, но это совсем незначительные суммы. Срок действия такого документа – 3 года.
Услуги компании
Подведём итог, для чего все-таки нужен ГПЗУ. Во-первых, заказчик получает необходимую информацию об участке, границах строительства, зонах с особыми условиями. Во-вторых, ГПЗУ является разрешающим документом на строительство. При этом он необходим не только при разработке проектов, но и при реконструкции объектов. Обращайтесь к специалистам нашейкомпании ООО «ЗУЗМИ-Сыктывкар», которые возьмут на себя решение вопроса о получении ГПЗУ в Сыктывкаре и Республике Коми.
Стоимость получения ГПЗУ в Сыктывкаре: